摘要:最新報道揭示臺風眼的探秘之旅,探究風云變幻中的奇跡及其影響。文章關注臺風眼最新的動態和發展,分析臺風眼內的特殊氣象現象及其對周圍環境的影響。通過深入報道,帶領讀者了解臺風眼的神秘之處,同時關注其帶來的自然災害和防范措施。
在廣袤無垠的海洋之上,臺風是最壯觀的自然現象之一,其核心的臺風眼更是引發了無數人的好奇和探索,本文將帶您走進臺風眼的最新研究,深入了解其背景、重大事件、影響,以及在特定領域或時代中的重要地位。
背景簡述
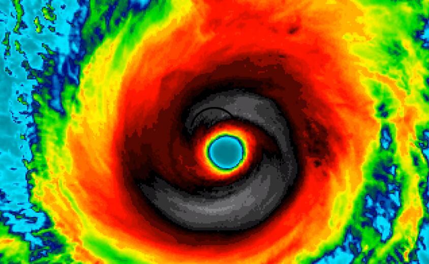
臺風,在氣象學上被稱為熱帶氣旋,是海洋上的風暴系統,當熱帶海洋的水溫高于一定閾值時,海底能量驅動空氣流動,形成旋轉的氣旋,隨著氣旋逐漸增強,其中心部位的氣壓急劇下降,形成了一個平靜的核心區域,即臺風眼,臺風眼周圍環繞著狂風暴雨,而眼內卻可能平靜如鏡,這種現象令人嘆為觀止。
重要事件回顧
1、臺風眼觀測技術的發展:隨著科技的進步,氣象學家們利用先進的衛星和地面觀測設備對臺風眼進行精密觀測,高清衛星圖像的應用使得我們能夠更精確地預測臺風路徑和強度,無人機技術的運用讓科學家能夠近距離地探索臺風眼的內部結構和動態變化。
2、近年來重大臺風事件的影響:一些強臺風的頻繁出現引起了全球關注,這些事件不僅考驗著各國的應急響應能力,也促使科學家們深入研究臺風眼的形成和演變機制。
3、臺風眼與氣候變化的聯系:全球氣候變暖的趨勢可能影響到臺風的活動,一些研究表明,氣候變化可能對臺風的強度和頻率產生影響,這也使得臺風眼的研究變得尤為重要。
影響分析
臺風眼及其相關的天氣現象對人類社會產生了深遠的影響,臺風帶來的降水可以緩解干旱,為一些地區提供寶貴的水資源,強風和暴雨也往往造成嚴重的自然災害,如洪水、泥石流等,臺風還可能導致電力中斷、交通癱瘓等社會基礎設施問題,對臺風眼的深入研究不僅關乎自然災害的防范與應對,也關乎社會經濟的穩定與發展。
在特定領域或時代中的地位
在氣象學領域,臺風眼的研究具有舉足輕重的地位,隨著全球氣候變化的影響日益顯著,極端天氣事件的頻率和強度都在增加,這使得對臺風眼的深入研究變得至關重要,隨著城市化進程的加速和人口向沿海地區的集中,臺風帶來的風險也在增加,對臺風眼的研究不僅關乎氣象學領域的發展,也關乎人類社會的可持續發展和全球安全。
臺風眼是自然界的一大奇觀,也是科學家們不斷探索的課題,隨著科技的進步和全球氣候變化的影響加劇,對臺風眼的研究變得更加重要和緊迫,希望通過本文的敘述,讀者們能對臺風眼有更深入的了解,認識到其在特定領域或時代中的重要地位,讓我們共同期待科學家們未來在臺風眼研究上的新發現與突破。



還沒有評論,來說兩句吧...